Giving farmers certainty to tackle a crop-eating pest

Publicly released:
Australia; QLD
Image: Megan Pope, QAAFI.
Image: Megan Pope, QAAFI.

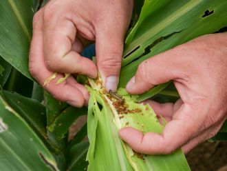
The University of Queensland is working with Queensland Department of Agriculture and Fisheries to develop guidelines to help Australian grain growers decide when and how to treat fall armyworm to save their crops and finances. The highly invasive pest was detected in Australia three years ago and poses a major threat to broadacre crops including maize and sorghum.

News release

From: The University of Queensland

The University of Queensland (UQ) is working with Queensland Department of Agriculture and Fisheries (DAF) to develop guidelines to help Australian grain growers decide when and how to treat fall armyworm (FAW) to save their crops and finances.

The highly invasive pest was detected in Australia three years ago and poses a major threat to broadacre crops including maize and sorghum.

Dr Joe Eyre from UQ’s Queensland Alliance for Agriculture and Food Innovation (QAAFI) is working with DAF on the project, which has investment from the Grains Research and Development Corporation (GRDC) and will determine economic thresholds for the pest to give farmers certainty.

“The overseas recommendations for treating fall armyworm are vague, and we don’t know how they relate to the Australian environment,” Dr Eyre said.

“The current recommendations are to take action based on obvious damage from the caterpillars, which may not be the most economical efficient or ecologically friendly time to protect crops.”

The research project will establish the relationship between the timing of an infestation, its density and the crop’s response.

“Fall armyworm are easy to treat when small so we need to predict what the likely yield loss is going to be if the infestation is not treated, as opposed to spending money on treatments when it is too late or when FAW are unlikely to result in yield penalty,” Dr Eyre said.

“The development of these economic thresholds will be absolutely fundamental to the management of fall armyworm in broadacre crops.”

DAF’s Dr Melina Miles said field trials in maize and sorghum at UQ’s Gatton campus were providing important data.

“We haven’t had a severe defoliating pest before and most producers haven’t seen a shredded crop, so there’s a lot to learn,” Dr Miles said.

“Australia’s grains industry is used to having economic thresholds on which to base decisions about crop management and farmers are crying out for guidance because fall armyworm is so damaging and new.”

The guidelines will be finalised by June 2024, but Dr Eyre and Dr Miles are already presenting their work at industry conferences.

Images and video are available via Dropbox.

Multimedia

Fall armyworm in crop. Image: Megan Pope
Fall armyworm in crop. Image: Megan Pope
Journal/
conference:
Organisation/s: The University of Queensland
Funder: Queensland Department of Agriculture and Fisheries, GRDC, Queensland Alliance for Agriculture and Food Innovation, Cesar Australia
Media Contact/s
Contact details are only visible to registered journalists.